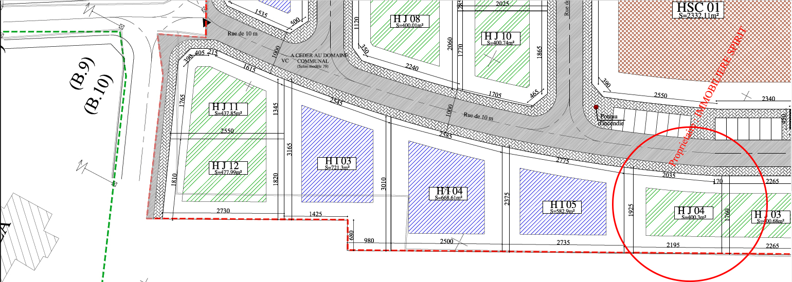
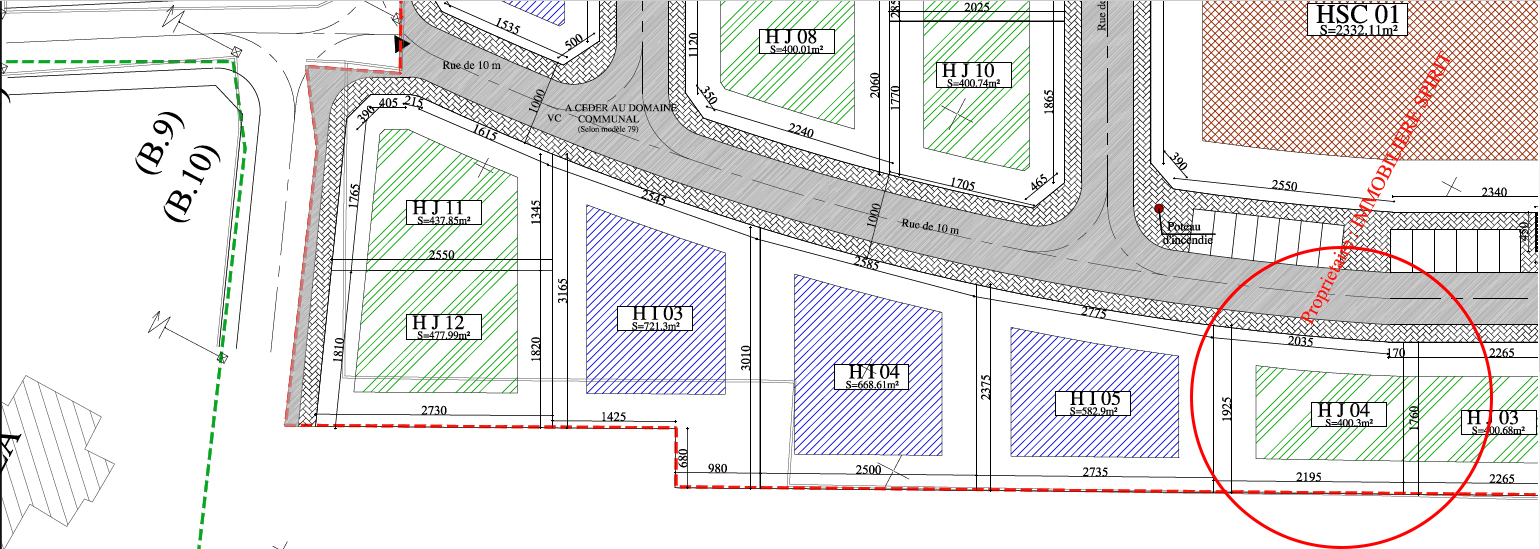
HJ 04 - GREEN VALLEY
LA SOUKRA - ARIANA SOUKRA
Caractéristiques du lot
Type du bien : TERRAIN / LOTISSEMENT
Nombre de Pièces : 1
Orientation :
Niveau étage :
Surface Couverte : m²
Surface Totale : 400.30 m²
Prix/m² : 900 DT
Prix : 360.270 DT

